Na prodej atraktivní stavební pozemek, Krk, Chorvatsko
ID nemovitosti: CHPN17018
Město: Vrbnik
Typ: Pozemek / Stavební bydlení
Cena: 108 000 €
Vyřizuje:
Violeta Borisova
+420 774 865 014
violeta.borisova@alexandriareal.cz
Podtyp nemovitosti: Stavební bydlení
Vzdálenost od moře: 1 - 5 km
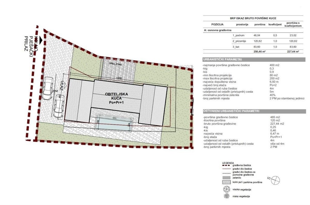
Plocha pozemku: 484 m2
Popis nemovitosti
Dovolujeme si Vám nabídnout na prodej atraktivní stavební pozemek v okolí obce Vrbnik na ostrově Krk, jenž je s pevninou spojen mostem, v Primorsko-goranské oblasti v Chorvatsku. Pozemek má výměru 484 m2 a nabízí se spolu s projektovou dokumentací na výstavbu středomořské vily o celkové ploše 227,44 m2 s bazénem, wellness a zahradou.
Obytná část vily by měla tuto dispozici: přízemí – chodba, obývací pokoj s jídelnou, kuchyně, pracovna/ložnice, koupelna a krytá terasa; 1. patro – chodba, tři ložnice, tři koupelny. V suterénu by byl domácí wellness. Klidné prostředí zeleně a obytných vilek. Vzdálenost do centra Vrbnika i k moři je přibližně 4 km.
Související články:
- Postup koupě chorvatských realit
- Daně a poplatky - Chorvatsko nemovitosti
- Lokality pro nemovitosti - Chorvatsko
- Naše služby pro zájemce o chorvatské nemovitosti
- Situace na trhu s nemovitostmi v Chorvatsku
- Nejčastější dotazy o koupi zahraničních realit
Vyřizuje:
Violeta Borisova
+420 774 865 014
violeta.borisova@alexandriareal.cz
Mapa zobrazuje lokalitu kde se nemovitost nachází, nikoliv její přesnou adresu.